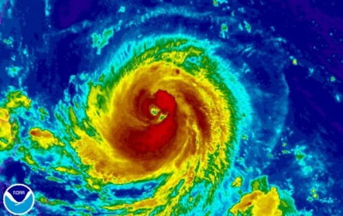
ThienNhien.Net – Theo Trung tâm dự báo Khí tượng Thủy văn Trung ương, hiện nay, một cơn bão rất mạnh đang hoạt động trên vùng biển ngoài khơi phía Đông Philippines và có tên quốc tế là Goni.
Hồi 8 giờ ngày 19/8, vị trí tâm bão ở vào khoảng 18,9 độ Vĩ Bắc; 129,8 độ Kinh Đông, cách đảo Luzon (Philippines) khoảng 840km về phía Đông Đông Bắc. Sức gió mạnh nhất ở vùng gần tâm bão mạnh cấp 15 (tức là từ 165-185 km/giờ), giật trên cấp 17.
Dự báo trong 24 giờ tới, bão di chuyển chủ yếu theo hướng Tây, mỗi giờ đi được khoảng 20km và còn tiếp tục mạnh thêm.

Đến 7 giờ ngày 20/8, vị trí tâm bão ở vào khoảng 18,9 độ Vĩ Bắc; 125,3 độ Kinh Đông, cách đảo Luzon khoảng 340km về phía Đông Đông Bắc. Sức gió mạnh nhất ở vùng gần tâm bão mạnh cấp 16 (tức là từ 185-200 km/giờ), giật trên cấp 17.
Trong khoảng 24-48 giờ tiếp theo, bão di chuyển theo hướng Tây Tây Bắc, mỗi giờ đi được khoảng 10km. Đến 7 giờ ngày 21/8, vị trí tâm bão ở vào khoảng 19,4 độ Vĩ Bắc; 123,3 độ Kinh Đông, cách đảo Luzon khoảng 180km về phía Đông Bắc Sức gió mạnh nhất ở vùng gần tâm bão mạnh cấp 16 (tức là từ 185-200 km/giờ), giật trên cấp 17.
Trong khoảng 48-72 giờ tiếp theo, bão có khả năng đổi hướng di chuyển theo hướng Bắc Tây Bắc, mỗi giờ đi được khoảng 10km.


