ThienNhien.Net – Cơn bão mạnh nhất năm 2015 có tên là Soudelor được dự kiến sẽ tấn công vào Nhật Bản và Đài Loan vào ngày 6-8.
Với vận tốc gió lên tới 350km/h, siêu bão Soudelor trước đó đã tàn phá một nhóm các hòn đảo nhỏ trên Thái Bình Dương.


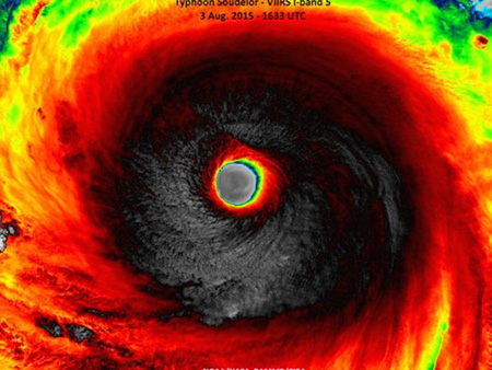
Siêu bão Soudelor trên Thái Bình Dương. Ảnh: NASA
Cơn bão nhiệt đới này đã càn quét qua các quần đảo phía bắc Mariana vào ngày 2-8, cách xa 2.500km về phía đông của Phillipines. Theo ước tính của Trung tâm cảnh báo bão của Hải quân Mỹ, sức gió đã lên tới 354km/h, tuy nhiên, tính đến thời điểm hiện tại, không có người nào thiệt mạng. Soudelor mạnh hơn siêu bão Cyclone Pam xảy ra cách đây 5 tháng, là cơn bão mạnh nhất trong năm 2015 tính đến nay, và đã cướp đi sinh mạng của 15 người tại Vanuatu.
Theo trích dẫn của truyền thông Pháp, ông John Hirsh, giám đốc điều hành Hội Chữ thập đỏ Mỹ ở Saipan, nói với tờ Pacific Daily News rằng, thiệt hại ngày càng nhiều trên khắp hòn đảo và đặc biệt là đối với cơ sở hạ tầng công cộng. Tổng cộng có 400 người đã phải di chuyển tới nơi trú ẩn khẩn cấp, khi thống đốc Ralph Torres tuyên bố đây là một “thảm họa lớn”.
Phía Đài Loan đã miêu tả cơn bão này là không đáng kể, mặc dù Soudelor chỉ còn cách xa 2.000km và di chuyển với vận tốc 21km/h. Đại diện Văn phòng Dự báo thời tiết Trung ương Đài Loan cho biết, vẫn còn quá sớm để khẳng định toàn bộ đất nước sẽ bị ảnh hưởng bởi trận bão, vì bão hoàn toàn có thể chuyển hướng. Phía đông bắc thành phố Tapei được dự đoán sẽ chịu ảnh hưởng nặng nề nhất.


