Thật thiếu sót nếu đến Nha Trang, Khánh Hòa mà không ghé Hòn Mun ngắm san hô cùng hàng ngàn loài sinh vật biển đặc sắc
Ngày 25-6, Ban Quản lý vịnh Nha Trang cho biết khảo sát vào giữa tháng 6-2020 cho thấy Khu Bảo tồn biển vịnh Nha Trang có độ phủ san hô sống lên đến 61%, gồm cả san hô cứng và san hô mềm.
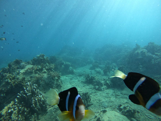
Theo ông Đàm Hải Vân, Trưởng Phòng Bảo tồn Ban Quản lý vịnh Nha Trang, chỉ cần xuống độ sâu chừng 7-10 m là bạn có thể chiêm ngưỡng được cảnh tuyệt vời của chốn thủy cung với đủ loại san hô như san hô đỏ, san hô sừng nai thành từng cụm khổng lồ. Trong các cụm san hô còn có nhiều loại hải quỳ với màu sắc sặc sỡ; những đàn cá đủ chủng loại, đủ màu sắc hết sức đa dạng, phong phú.


Hiện nay, Khu Bảo tồn biển vịnh Nha Trang không chỉ có Hòn Mun mà bao gồm các đảo như Hòn Tre, Hòn Miễu, Hòn Tằm, Hòn Một, Hòn Cau, Hòn Vung… và vùng nước xung quanh. Diện tích khoảng 160 km², trong đó có khoảng 38 km² mặt đất và 122 km² vùng nước xung quanh các đảo. Khu vực này tạo thành quần thể có tầm quan trọng bậc nhất về bảo tồn biển và du lịch biển với các rạn san hô đa dạng sinh học cao nhất ở Việt Nam.\

Một số nhóm cá đang tăng về kích thước và số lượng như cá trác, cá mó, cá hồng, cá chỉ vàng, cá bướm, cá nhồng, cá dìa… Nguyên nhân chính là do các dịch vụ du lịch giảm từ tháng 1 đến tháng 6-2020. Khi lặn biển, du khách còn có thể bắt gặp con cá mú khổng lồ nặng 7-8 kg; những chú cá chình dài 3-4 m hay những đàn cá cơm khổng lồ bao phủ phần diện tích trên 1 km² lướt qua người…

Tuy nhiên, theo Ban Quản lý vịnh Nha Trang, do khai thác quá mức, các nhóm loài cá rạn san hô, động vật thân mềm có giá trị kinh tế cao, quý hiếm còn lại rất ít hoặc không xuất hiện. Ban quản lý đã báo cáo lên UBND TP Nha Trang đề xuất việc tăng cường công tác quản lý, bảo vệ, tuần tra, giám sát và xử lý nghiêm các hành vi vi phạm gây hại đến hệ sinh thái rạn san hô. Ngoài ra cần có biện pháp phục hồi nguồn lợi đối với một số nhóm cá và động vật thân mềm cỡ lớn như cá chình, tôm hùm, ốc tù và, trai tai tượng… nhằm giữ cân bằng hệ sinh thái rạn và tăng sự giàu có cho rạn.
Bên cạnh đó, Ban Quản lý vịnh Nha Trang đang nghiên cứu phân vùng hoạt động cho các loại hình du lịch trong khu kinh tế biển cho phù hợp để phục hồi các rạn san hô, lắp đặt các loại phao phân vùng và phao neo cho tàu thuyền.
Kỳ Nam (Ảnh do Ban Quản lý vịnh Nha Trang cung cấp)


